433 GCR 464
$ 339,000
MLS Number: 3624189
Location: South of Grand Lake
Acreage: 5.76
County: Grand
Listed by: Mountain Lake Properties
MLS Number: 3624189
Location: South of Grand Lake
Acreage: 5.76
County: Grand
Listed by: Mountain Lake Properties
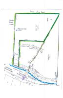
5.7 acres of open meadow land with 83 feet of frontage along the Colorado River - the same one that carved the Grand Canyon! It starts right here north of Grand Lake.
To the back, you border a thousand acre ranch. Access is via a private gated bridge and driving along a private road. Your view across the river is of the homes in Mountain Meadows. View to the back across the ranchland are gentle hills beyond which is National Forest. To the north, you can see towards the Rocky Mountain National Park. Looking at the attached map, you have 83 feet along the water. Side setbacks in Grand County residential zoning are 5 feet, so you should be able to build a 70 foot wide home as long as you stay a minimum of 30 feet back from the water's edge; that is the county's water quality setback. Utilities: Electricity and public sewer are close to the site. The well is drilled near the river. The augmentation plan for the well shows that it needs to be put to beneficial use/ be put to some purpose by June of 2026, so the seller is motivated to get the property sold. R177233 North Fork Acres: Tract 2 #433 County Road 464 $339,000
Click a photo below to view a larger version:
Directions:
3 miles south of Grand Lake/ 13 miles north of Granby, Road 46 angles sharply uphill from its intersection with Highway 34 .Go up 46 almost all the way - about a half mile. Turn to the right as the road narrows, just before you enter Heritage Ranch. Your goal is to cross the bridge; one of us will need to accompany you. Turn left. Go to the next bridge- a quarter mile or so. Cross that bridge , on your left. The land is behind and to the left/ south side of Steve Best's; his is the only home on that far side of the north bridge.









